Furacão Gabrielle se intensifica rapidamente, enquanto trajetória da tempestade é revelada
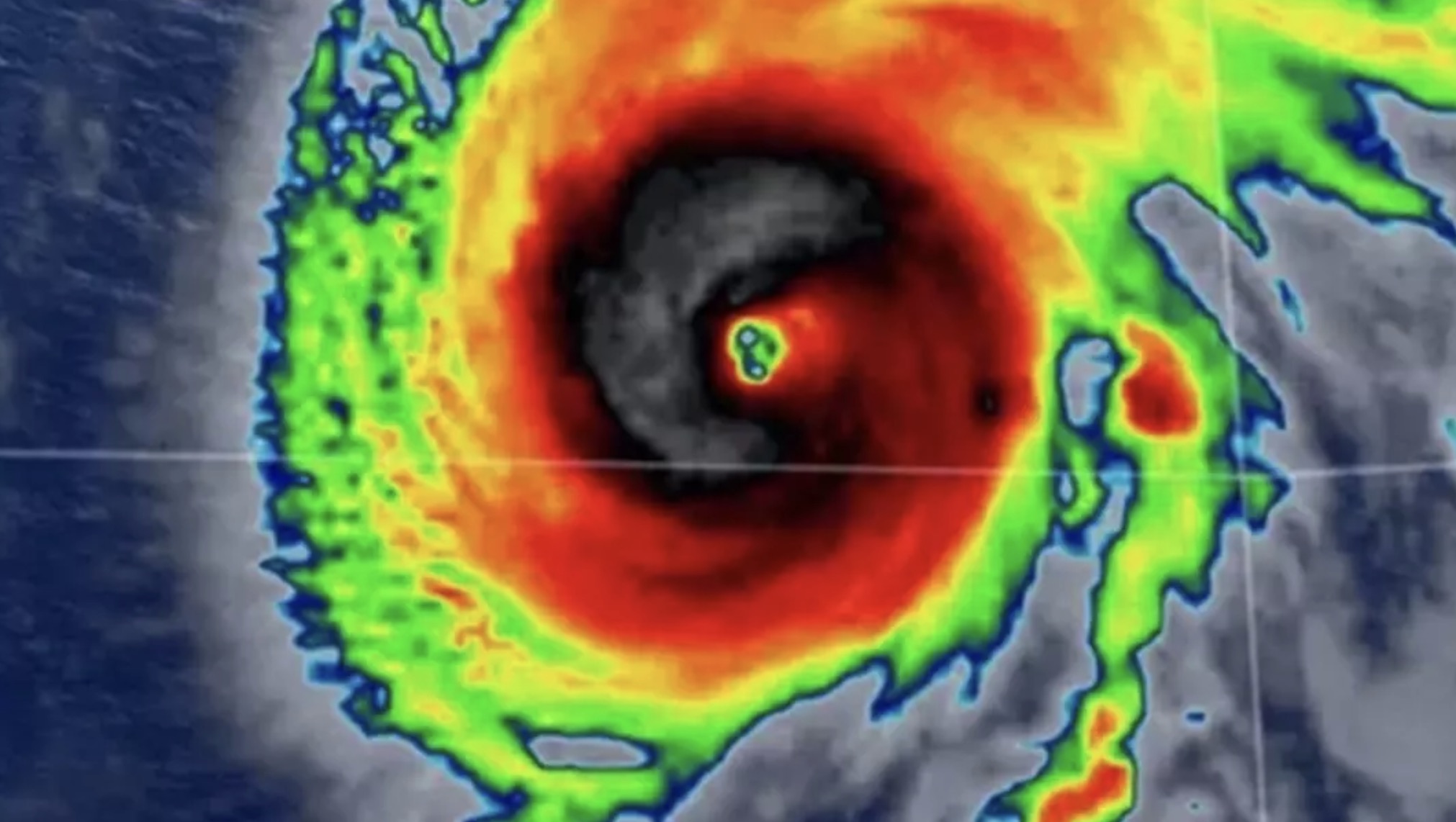
O furacão Gabrielle ganhou força no Atlântico e chegou nesta segunda-feira à categoria 4 na escala Saffir-Simpson, que vai até o nível 5. O sistema, monitorado pelo Centro Nacional de Furacões dos Estados Unidos (NHC), ainda está longe dos Açores, mas pode atingir o arquipélago português até o final da semana.
De acordo com o NHC, os ventos máximos sustentados do Gabrielle chegaram a 220 km/h durante a tarde, enquanto o furacão se deslocava para nordeste, a cerca de 290 km das Bermudas. A trajetória atual aponta que ele continuará avançando para norte e leste nos próximos dias. Apesar da força, os meteorologistas esperam que perca intensidade gradualmente entre terça e quarta-feira.
Mesmo distante mais de 3.200 km dos Açores, os especialistas já alertam para os possíveis impactos nas ilhas. Segundo as projeções, o centro do ciclone poderá passar entre os grupos Ocidental (Flores e Corvo) e Central (Terceira, Pico, São Jorge, Graciosa e Faial) na sexta-feira, quando deverá estar reclassificado como categoria 1.
Furacão Gabrielle se intensifica rapidamente, enquanto trajetória da megatempestade é revelada
O Instituto Português do Mar e da Atmosfera (IPMA) também acompanha a evolução do sistema. Em comunicado, o Centro de Previsão e Vigilância Meteorológica dos Açores informou que Gabrielle estava localizado a cerca de 3.000 km a sudoeste do grupo Ocidental e mantinha deslocamento para nor-noroeste. A meteorologista Elsa Vieira destacou que, caso a rota prevista se mantenha, o estado do tempo irá se agravar em todas as ilhas à medida que o ciclone se aproxima.
Apesar de ainda não haver alertas costeiros em vigor, as autoridades recomendam atenção, sobretudo nas Bermudas, onde as ondas geradas pelo furacão já estão sendo sentidas. O NHC adiantou que as correntes marítimas perigosas e as grandes ondulações também deverão atingir a costa leste dos Estados Unidos, desde a Carolina do Norte até o Canadá atlântico.
Até o momento, a temporada de furacões no Atlântico já registrou sete sistemas nomeados: Erin, Andrea, Barry, Dexter, Fernand, Chantal e Gabrielle. Apenas Chantal tocou terra, causando duas mortes em julho na Carolina do Norte. A Administração Nacional Oceânica e Atmosférica (NOAA) prevê que este ano seja mais ativo que o normal, com a formação de até 18 tempestades tropicais, das quais até nove podem se transformar em furacões.
Esse Furacão Gabrielle se intensifica rapidamente, enquanto trajetória da tempestade é revelada foi publicado primeiro no Misterios do Mundo. Cópias não são autorizadas.
O que achou dessa notícia? Deixe um comentário abaixo e/ou compartilhe em suas redes sociais. Assim conseguiremos informar mais pessoas sobre as curiosidades do mundo!
Esta notícia foi originalmente publicada em:
Fonte original

